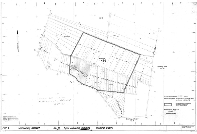
Amtliche Verordnungskarte zum Naturschutzgebiet "Nenndorfer Mörken"
(NSG WE 145)
Zum Drucken und zur Detailansicht steht Ihnen auch die pdf-Version der Karte zur Verfügung (1.209 KB).
-------------------------------------------------------------------------------------------------
Verbindlich sind für alle Schutzgebiete die im Amts- bzw. Ministerialblatt veröffentlichten Verordnungen bzw. Karten.
Naturschutzgebiet "Nenndorfer Mörken"
Alle Naturschutzgebiete (NSG) Niedersachsens
Sie haben verschiedene Möglichkeiten, ein NSG zu finden:
Artikel-Informationen
Nds. Landesbetrieb für Wasserwirtschaft, Küsten- und Naturschutz
Göttinger Chaussee 76 A
D-30453 Hannover

