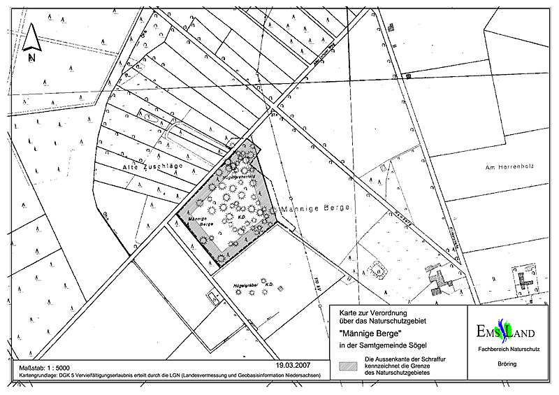
Amtliche Verordnungskarte zum Naturschutzgebiet "Männige Berge"
(NSG WE 255)
Zum Drucken und zur Detailansicht stehen Ihnen auch die pdf-Versionen der Karten zur Verfügung:
Übersichtskarte 1:25.000 (572 KB)
Verordnungskarte 1:5000 (126 KB)
---------------------------------------------------------------------------------------
Verbindlich sind für alle Schutzgebiete die im Amts- bzw. Ministerialblatt veröffentlichten Verordnungen bzw. Karten.
Naturschutzgebiet "Männige Berge"
Alle Naturschutzgebiete (NSG) Niedersachsens
Sie haben verschiedene Möglichkeiten, ein NSG zu finden:
Artikel-Informationen
Nds. Landesbetrieb für Wasserwirtschaft, Küsten- und Naturschutz
Göttinger Chaussee 76 A
D-30453 Hannover

