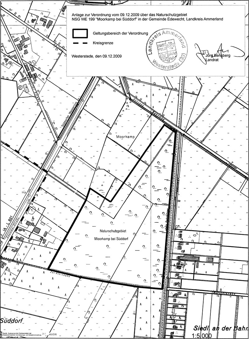
Amtliche Verordnungskarte zum Naturschutzgebiet "Moorkamp bei Süddorf"
(NSG WE 199)
Zum Drucken und zur Detailansicht steht Ihnen auch die PDF-Version der Karte zur Verfügung.
---------------------------------------------------------------------------------------
Verbindlich sind für alle Schutzgebiete die im Amts- bzw. Ministerialblatt veröffentlichten Verordnungen bzw. Karten.
Naturschutzgebiet "Moorkamp bei Süddorf"
Alle Naturschutzgebiete (NSG) Niedersachsens
Sie haben verschiedene Möglichkeiten, ein NSG zu finden:
Artikel-Informationen
Nds. Landesbetrieb für Wasserwirtschaft, Küsten- und Naturschutz
Göttinger Chaussee 76 A
D-30453 Hannover

