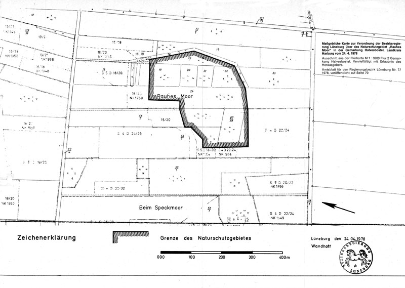
Amtliche Verordnungskarte zum Naturschutzgebiet "Rauhes Moor"
(NSG LÜ 038)
Zum Drucken und zur Detailansicht steht Ihnen auch die pdf-Version der Karte (695 KB) zur Verfügung.
---------------------------------------------------------------------------------------
Verbindlich sind für alle Schutzgebiete die im Amts- bzw. Ministerialblatt veröffentlichten Verordnungen bzw. Karten.
Naturschutzgebiet "Rauhes Moor"
Alle Naturschutzgebiete (NSG) Niedersachsens
Sie haben verschiedene Möglichkeiten, ein NSG zu finden:
Artikel-Informationen
Nds. Landesbetrieb für Wasserwirtschaft, Küsten- und Naturschutz
Göttinger Chaussee 76 A
D-30453 Hannover

